Tag: extreme weather
Church in India hails new climate targets for 2035
10 April 2026
MUMBAI (UCAN): The Catholic Church has welcomed India’s revised climate targets for 2035, which aim…
A small Philippine town’s victory over hazardous mining
6 March 2026
Jesus Cabias Jr. heaved a sigh of relief in the third week of February, watching…
Christmas is call to stand with communities facing climate crisis, says bishop
26 December 2025
MANILA (LiCAS News): Bishop Gerardo Alminaza of San Carlos, the Philippines, called on the faithful…
Mining aggravating climate crisis in Philippines
14 November 2025
MANILA (UCAN): As the Philippines grapples with one deadly storm after another, environmentalists and rights…
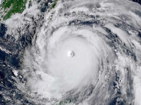
Typhoon Ragasa’s destructive power linked to warming seas, climate crisis
3 October 2025
A new scientific analysis concludes that Super Typhoon Ragasa [Nando], which devastated parts of northern Luzon…
Celebrating a decade of Laudato Si’: a call to action for our common home
5 September 2025
HONG KONG (SE): To commemorate the 10th anniversary of Pope Francis’ groundbreaking encyclical, Laudato Si’,…
Asian bishops urge bold climate action in Laudato Si’ anniversary appeal
21 March 2025
MANILA (SE): In a pastoral letter, the Federation of Asian Bishops’ Conferences (FABC) issued a…
Keywords
Cardinal Stephen Chow
Cardinal Stephen Chow SJ
Caritas
Catholic
Catholic Church
children
China
climate change
community
Covid-19
Daily Mass readings
daily scripture readings
dialogue
Easter
Editorial
English Homily
Environment
faith
front page top
Hong Kong
human rights
India
Indonesia
justice
Lent
Mass readings
Myanmar
Notice Board
peace
Philippines
Pope Francis
Pope Leo XIV
reflections
reflections from the bishop and vicars general
SARS-CoV-2
spiritual reflections
Tagalog homily
the Church
The Philippines
the pope
The Vatican
Ukraine
Vatican
war
Young people















